Tissues / Unstained
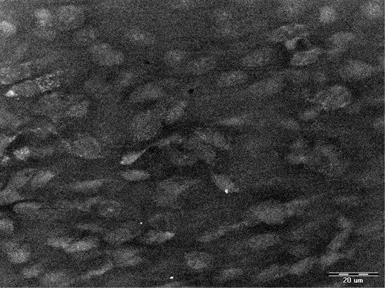
1. Wet, Unstained cardiomyocytes

Fully hydrated, native mouse cardiac musclecells as seen with WETSEMTM technology. A fresh tissue from mouse heart was placeddirectly - unfixed and unstained -into a QX-302 capsule and imaged.
Right: Zoom-in to cells from left panel.






